awillbu1  Wellige Wurzellorchel, Welliger Haftling                                                      UNGENIESSBAR! 

RHIZINA UNDULATA (SYN. RHIZINA INFLATA)

 

Wurzellorchel34

Wurzellorchelsa

WelligeWurzellorchelHund1

 

 

 

 

 

Wurzel-Lorch3

WelligeWurzellorchelHund2

Wurzellorchel2x

WelligeWurzellorchelHund3

Bilder oben 1-2 von links: Fred Gruber (Gottfrieding) ©

Eigenschaften, Erkennungsmerkmale, Besonderheiten, (Gattungen):

Geruch:

Unbedeutend.

Geschmack:

Neutral, mild.

Fruchtkörper:

4-30 (> 40) cm Ø, flach-tellerförmig, polsterförmig, gewölbt. Wellig am Boden aufliegend, rotbraun, kastanien- bis schwarzbraun. Der Rand ist heller (weißlich bis gelblich). Unterseite: schmutzig weiß, gelblich bis orangegelb, mit Nadeln, Wurzeln verwachsen. Die Andruckstellen sind gelb.

Fleisch:

Weiß-hellbraun, zäh, lederartig.

Stiel:

Stiellos, flach auf dem Substrat aufliegend. Etwas mit Myzelwurzeln behaftet.

Sporenpulverfarbe:

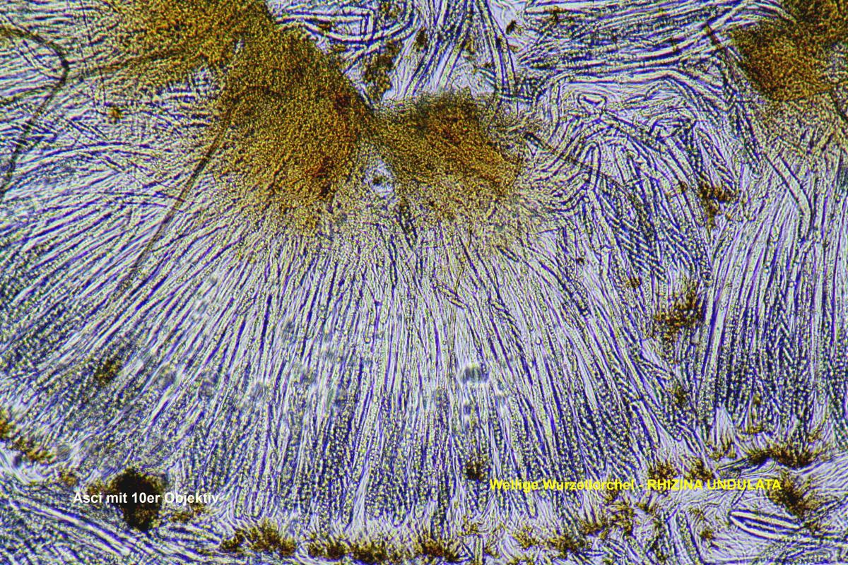
Weiß (25-33 x 8-9,5 μm, Asci 310-400 x 13-18 μm).

Vorkommen:

Am Wurzelgeflecht von Nadelbäumen, gern Kiefer, Douglasie oder Fichte, parasitär oder folgezersetzend, gern auf Brandstellen, Frühsommer bis Spätherbst, RL3 Deutschland (gefährdet).

Gattung:

Lorcheln, Wurzellorchel (Schlauchpilze).

Verwechslungsgefahr:

Scheiben-Lorchel, Kiefern Braunporling, Wellige Wurzellorchel, Morchelbecherling.

Besonderheit:

Von den Förstern gefürchteter Waldschädling.

Wiki-Link:

https://de.wikipedia.org/wiki/Wellige_Wurzellorchel

Priorität:

2

 

Wurzel-Lorch

Wurzel-Lorch2

Bilder oben 7 und unten 7 von links: Georg Probst (Ergolding) ©

Wurzellorchel

 

Bilder oben 1-4 von links:  Marcello Maggetti (CH-8173 Neerach) ©4

 

Bilder oben 1-6 und unten 1-5 von links: Georg Probst (Ergolding) ©

 

 

 

 

   Weitere Bestimmungshilfen und Informationen hier:

 

 

 

 

 

 

 

 

 

   Letzte Aktualisierung dieser Seite: Donnerstag, 30. Oktober 2025 - 14:14:15 Uhr

“